Мы используем куки-файлы. Соглашение об использовании
Коммерческая земля, 5,43 га

Продается коммерческая земля, 5,43 га

Площадь участка5,43 га
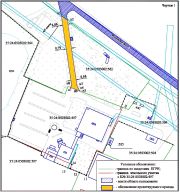
Продажа прав долгосрочной аренды земельных участков под общественно-деловую застройку и жилье, с объектами незавершенного строительства (3 %). Представляют собой свайное поле. ПЗЗ предоставляют возможность перепрофилирования земельных участков под строительство жилья и общественно-деловой застройки. Земельные участки в аренде на 49 лет. Подъезд к участкам осуществляется непосредственно с Московского шоссе, через участок с кадастровым номером 35:24:0503002:562 (а именно часть указанного земельного участка площадью 4163 кв. м. - установлен сервитут для обеспечения беспрепятственного круглосуточного прохода пешеходов и проезда легковых, грузовых автомобилей и строительной техники). Схема подъезда в разделе Фотографии. Технические характеристики: Здание торгово-развлекательного центра незавершенное строительством, степень готовности 4 % 22 823,2 кв.м. Здание аквапарка-СПА незавершенное строительством, степень готовности 3 % 8 721,2 кв.м. Земельный участок 35:24:0503002:498, расположен под зданием торгово-развлекательного центра 14 845 кв.м. (в собственности) Право аренды земельного участка 35:24:0503002:563, расположен под зданием торгово-развлекательного центра 20 863 кв.м. Право аренды земельного участка 35:24:0503002:564, расположен под зданием аквапарка-СПА 18 550 кв.м. Обращаться в рабочие дни с 9:00 до 18:00, пятница с 9:00 до 17:00.
lock

Войдите или зарегистрируйтесь
для просмотра информации

Просматривайте условия сделки и всю информацию об объекте
Сохраняйте фильтры в поиске и не вводите заново
Доступ к избранному с любого устройства
Неограниченное добавление в избранное
Позвоните автору
Вам ответят на все вопросы
Остались вопросы по объявлению?
Позвоните владельцу объявления и уточните необходимую информацию.
  • Инфраструктура
  • Похожие рядом
Помощь надёжных риелторов
Риелтор партнёр Циан поможет купить или продать любую недвижимость
65 000 000 ₽
852 472 $
729 213
Цена за гектар
11 970 535 ₽
Налог
УСН
Агентство недвижимости
Документы проверены
На Циан
3 года
Объектов в работе
14