Мы используем куки-файлы. Соглашение об использовании
Аукцион
Площадь участка6,76 сот.
КатегорияУчасток поселений
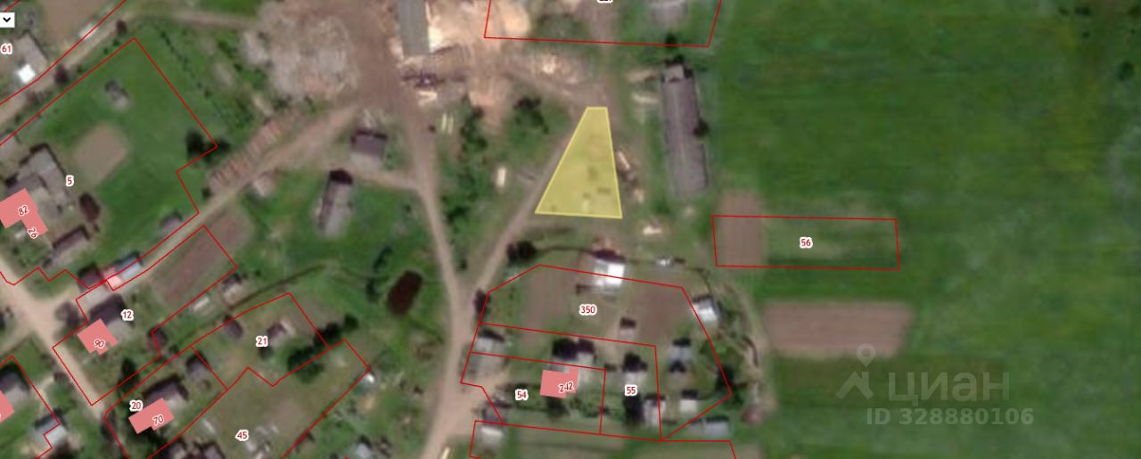
Данные получены с сайта ГИС Торги. Земельный участок с кадастровым номером 35:06:0204018:382, площадью: 676 кв. м, категория земель: земли населенных пунктов, разрешенное использование: складские площадки, местоположение: Российская Федерация, Вологодская область, муниципальный район Вожегодский, сельское поселение Тигинское, деревня Степаниха
АукционОбъект реализуется посредством электронных торгов. Конечную информацию об оплате, дополнительных платежах и условия заключения договора смотрите в документах извещения к лоту, на сайте электронной торговой площадки.
lock

Войдите или зарегистрируйтесь
для просмотра информации

Просматривайте условия сделки и всю информацию об объекте
Сохраняйте фильтры в поиске и не вводите заново
Доступ к избранному с любого устройства
Неограниченное добавление в избранное
  • Инфраструктура
  • Похожие рядом
Помощь надёжных риелторов
Риелтор партнёр Циан поможет купить или продать любую недвижимость
Управляющая компанияID 128914650
  • 1 год на Циане
  • 10638 объявлений
  • Начальная цена, аукцион
    9 646 ₽/мес.
    128 $/мес.
    109 /мес.
    Цена за сотку
    17 124 ₽ в год
    Налог
    УСН
    Комиссия
    нет
    Коммунальные платежи
    не включены
    Эксплуатационные расходы
    не включены
    Управляющая компанияID 128914650